7.1 C
Kyiv
Неділя, 9 Листопада, 2025

Прорив у науці чи глибоководне спустошення: чого чекати від масштабного виверження 2025 року

СвітПрорив у науці чи глибоководне спустошення: чого чекати від масштабного виверження 2025 року

Технології та наука Прорив у науці чи глибоководне спустошення: чого чекати від масштабного виверження 2025 року

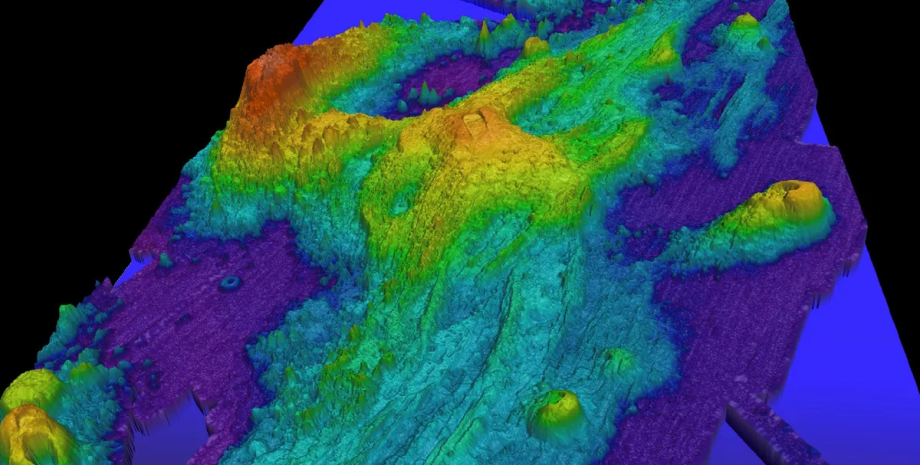
виверження гори Аксіал
Підводна гора Аксіал, як вважають, вивергнеться до кінця року | Фото: морская губка

Дослідники роками спостерігають за підводним вулканом біля узбережжя північного заходу Тихого океану США — останні спостереження вказують на те, що він може вивергнутися вже до кінця поточного року. Утім, учені до кінця не розуміють, якими будуть наслідки такої події.

Related video

Йдеться про підводний вулкан Аксіал, розташований на дні Тихого океану приблизно за 480 кілометрів на захід від Кеннон-Біч, штат Орегон, США. Відомо, що підводна гора розташована на краю плити Зуан-де-Фука — невеликої тектонічної плити, розташованої поруч із Тихоокеанською плитою — той гігант відповідальний за утворення сотень вулканів, що огинають океан, пише IFLScience.

У Фокус. Технології з'явився свій Telegram-канал. Підписуйтесь, щоб не пропускати найсвіжіші та найзахопливіші новини зі світу науки!

Виверження великого підводного вулкана у 2025 році

Оскільки подібні підводні гори представляють для вчених чудову можливість вивчити еволюцію раннього життя на Землі й потенційну загрозу глибоководного видобутку корисних копалин, вчені використовують спеціальне обладнання, що дає змогу отримати необхідні дані.

Гора Аксіал розташована на великому тектонічному кордоні, а тому район є надзвичайно нестабільним. Наприклад, Аксіал вважається найактивнішим підводним вулканом у північно-східній частині Тихого океану: нещодавні виверження відбулися в 1998, 2011 і 2015 роках.

Наприкінці 2024 року вчені також помітили, що підводний вулкан, ймовірно, починає пробуджуватися, а його внутрішні камери роздуваються. Усе це, на думку більшості вчених, вказує на те, що виверження, ймовірно, відбудеться наприкінці цього року. На жаль, подія, як прогнозують, стане однією з найбільших.

За словами співавтора дослідження, доцента кафедри біології Карлтонського коледжу Ріка Андерсона, вченим відомо все це завдяки тому, що Аксіал під'єднаний до розгалуженої мережі датчиків, камер і приладів. У результаті вченим вдалося отримати безліч даних — фактично, регіон, можливо, є найбільш ретельно спостережуваною ділянкою океанського дна на планеті.

підводна гора аксіал
Наукові прилади біля основи західної стіни кальдери вулкана Аксіал Фото: NOAA

Підводна гора Аксіал і походження життя на Землі

Андерсон з командою використовують це обладнання, для досліджень. Андерсен вважає, що гідротермальні джерела були ймовірним місцем найбільш ранніх етапів зародження життя, а тому підводна гора Аксіал — ідеальна природна лабораторія.

Передбачається, що раннє життя на Землі потребувало таких речовин, як залізо, сірка і золото дурнів. Вони могли бути дуже важливими для ранніх етапів зародження життя. І все це, за словами вчених, можна виявити в гідротермальних джерелах.

Майбутнє виверження також надасть можливість побачити, як глибоководні мікробні спільноти відновлюються після серйозного потрясіння. Цей випадок буде природним, але морське дно наражається на дедалі більшу загрозу через перспективу того, що компанії, які займаються глибоководним видобутком, добуватимуть літій та інші метали для акумуляторів, необхідні для "зеленої революції". На жаль, вчені все ще не можуть зрозуміти, як подібні промислові сліди можуть змінити ці приховані екосистеми, але наступний вибух на підводній горі Аксіал може містити важливі підказки.

Наукове відкриття чи глибоководне спустошення

Автори дослідження вважають, що наступне виверження відбудеться вже до кінця поточного року. У той час як люди, що перебувають на суші, будуть у цілковитій безпеці від виверження, підводна гора Аксіал затопить навколишнє морське дно потоком лави та інших вулканічних уламків. Якщо наукове обладнання опиниться на його шляху, на жаль, багато відкриттів можуть бути втрачені.

Ба більше, вчені не знають, наскільки успішно вони зможуть продовжувати проєкт, якщо виверження справді станеться та обладнання буде зруйновано.

Раніше Фокус писав про те, що найактивніший вулкан ось-ось вибухне і викине 40 км лави.

Останні новини